no
0:14
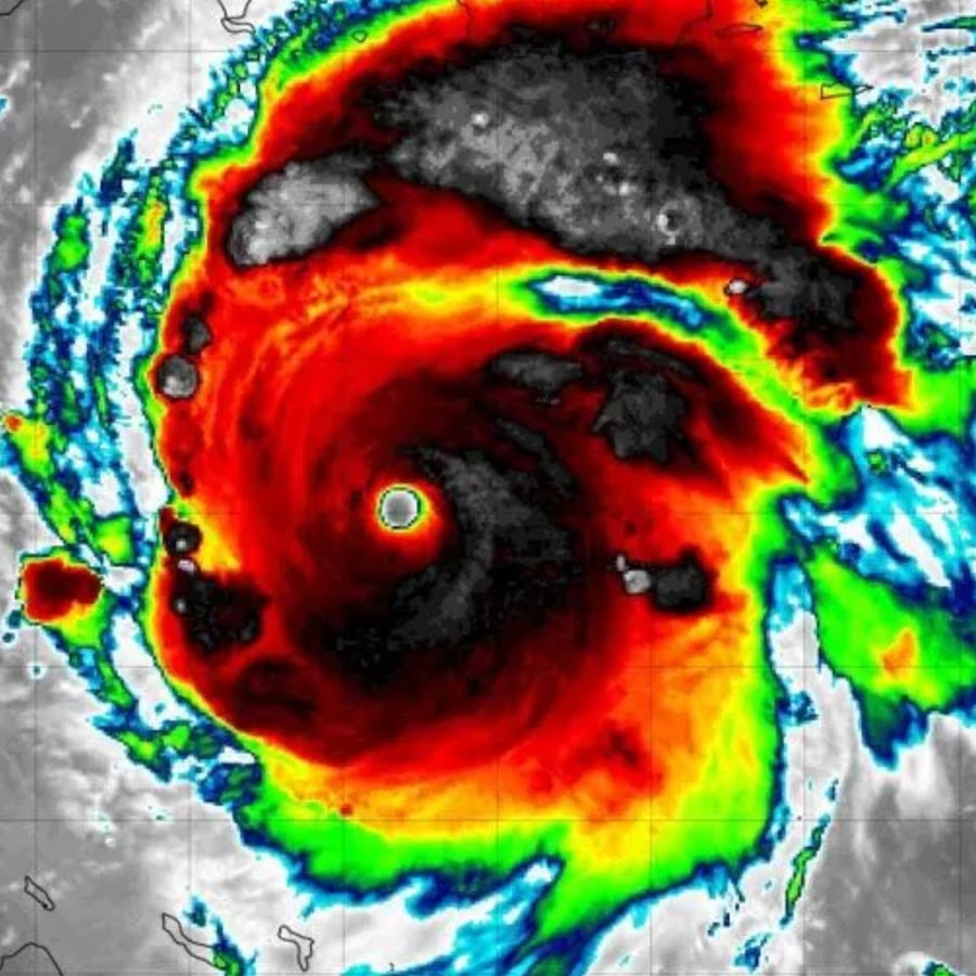
Track of Typhoon Vamei 2001
mr beryl
Shared 1 year ago
303 views
0:58
this is not peak
71 views
1:04
my hypothetical 2024 atlantic hurricane season
115 views
1:01
talking about the nhc
21 views
8:53
new oasis map
Shared 2 years ago
15 views
17:32
10110001111001
4 views
19:29
cube running.mp4
7 views
8:04
the monk, trailer and funny
6 views
20:45
modder rush.
22:21
record justice and funny moments
12 views
1:13
how to make a minigames kid
39 views
2:50
Best of 2021
Shared 3 years ago
114 views
2:11
Belize fan song
252 views
1:40
New Zealand Remake Fan Song
110 views
1:30
Capital Govenorate Fan Song
Shared 4 years ago
104 views
2:33
Iceland Remake Fan Song
134 views
Eritrea In A Nutshell
166 views
0:02
Drama in a nutshell
144 views
1:09
Southern Red Sea Region Fan Song
97 views
1:42
Kuwait Fan Song
118 views
0:41
Masvingo Fan Song
87 views
0:46
Belait District Fan Song
89 views
0:18
My new intro
80 views
0:11
Malheur County Fan Song
76 views
For Clip’s bro
111 views
0:27
Grenada Fan Song
0:13
A.C.T Fan Song
140 views
0:07
Don’t Watch This Please
116 views
0:40
How I make my fan songs from procreate (25 subs special)
84 views
Vuntut Gwich’in Fan Song
92 views
Al Dayyen Fan Song
0:05
For T.P 2
74 views
0:06
For T.P 1
66 views
Suriname Speed Art #shorts (read description)
128 views
Kebili Fan Song
332 views
Tamerasset Fan Song
67 views
0:21
Brunei Fan Song
79 views
0:31
Matabeleland South (last vid using tp’s colors)
1:03
I Rank (20 Subs Special)
60 views
0:33
Matabeleland North Fan Song (read description)
119 views
0:28
Hawaii Counties Remake Fan Song
137 views
0:16
Coconino County Fan Song
129 views
13:49
Suriname Districts Collection (read description)
241 views
0:19
Marovijne Fan Song
62 views
0:35
Top 10 Most Populated Resorts In Suriname Fan Song
121 views
0:25
Brokopondo Fan Song
78 views
Sipaliwini Fan Song
0:22
Nickerie Fan Song
75 views
East Berbice Corntyne Fan Song
61 views
0:20
Seminole Native Nation Facts
Commewjine Fan Song
Northwest Territories Fan Song
257 views
0:12
Canadian Territories Drawing
88 views
French Guiana Speed Art (even kxvin did this also not I’m not copying)
224 views
NYC Speed Art
0:15
Oklahoma Speed Art
70 views
0:36
Chile Regions Speed art 3
133 views
0:37
Trinidad And Tobago Speed art
150 views
0:49
Guyana Govenorates Speed Art 15 Subs Special
205 views